Jak funkcjonować będzie przejazd przez tory kolejowe w Tuszowie Narodowym i jaki wariant połączenia z centrum gminy wybrać, dyskutowali dziś (14.04) samorządowcy Gminy Tuszów Narodowy i Powiatu Mieleckiego.
Na ile ważny to temat dla lokalnej społeczności, świadczyć może olbrzymie zainteresowanie mieszkańców podczas marcowej sesji Rady Gminy. Swoje stanowisko – sprzeciw – w kwestii likwidacji tego przejazdu zajął również samorząd powiatowy podczas XXVII sesji 22 stycznia.
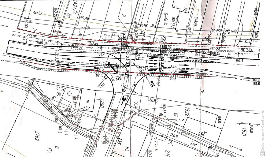
Obecnie, kiedy już wiadomo, że przejazd przez tory zostanie utrzymany, samorządowcy zastanawiają się, jak pogodzić wszelkie aspekty komunikacyjne zarówno w ruchu kołowym jak i kolejowym. Zadanie jest o tyle trudne, że pas jaki zajmuje droga jest stosunkowo wąski.
Proponowane obecnie zmiany uwzględniają organizację lewo- i prawo skrętów, które pozwolą na utrzymanie płynności ruchu na trasie Mielec – Tarnobrzeg.
Dodatkowo wykonane zostaną wysepki oddzielające pasy ruchu. Zainstalowana zostanie również sygnalizacja świetlna, sterująca ruchem na wypadek opuszczenia szlabanów przed zbliżającym się pociągiem. Nieopodal skrzyżowania powstać ma również przejście dla pieszych. Jak podkreślają zgodnie samorządowcy, ten element – przejście – musi być maksymalnie zabezpieczony tak pod względem usytuowania jaki i oznakowania. W przeszłości dochodziło w rejonie skrzyżowania do wielu groźnych wypadków z udziałem pieszych.
Podczas spotkania, w którym udział wzięli m.in. Starosta Mielecki – Stanisław Lonczak, Andrzej Głaz, Wójt Gminy Tuszów Narodowy oraz jego zastępca Grzegorz Niedbała i Jan Tarapata, radny Sejmiku Województwa Podkarpackiego uzgodniono, żeby jak najszybciej przekazać projektantom uzgodnione koncepcje przyjętych rozwiązań komunikacyjnych. Ich zdaniem koniecznym jest, aby wszelkie prace związane z przebudową przejazdu znalazły się w jednym projekcie, realizowanym przez jednego wykonawcę. Ma to zapewnić synchronizację poszczególnych etapów budowy. Dopiero opracowanie takiej spójnej koncepcji pozwoli realnie ocenić koszty inwestycji. Zarówno PLK, jak i poszczególne samorządy województwa, powiatu i gminy deklarują partycypację w kosztach modernizacji przejazdu kolejowego i skrzyżowania.
www.powiat-mielecki.pl







